República Dominicana envía ayuda humanitaria a Jamaica tras el paso del huracán Melissa
Santo Domingo (República Dominicana). El Gobierno dominicano dispuso el envío de una misión de asistencia humanitaria hacia Jamaica, tras los ...
Santo Domingo (República Dominicana). El Gobierno dominicano dispuso el envío de una misión de asistencia humanitaria hacia Jamaica, tras los ...
Santo Domingo (República Dominicana).- El presidente Luis Abinader instruyó al director de Asistencia Social y Alimentación Comunitaria, (DASAC), Edgar Féliz, ...
Santo Domingo (República Dominicana).- La Conferencia del Episcopado Dominicano (CED) hizo un llamado a la solidaridad nacional e internacional con ...
Kingston (Jamaica). – A partir de este sábado los dominicanos que se han visto afectados por los efectos del huracán ...
Miami.- El huracán Melissa, ahora categoría 2, se acercará a las Bermudas a fines de este jueves y esta noche, ...
Puerto Príncipe (Haití).- Las lluvias arrojadas por el huracán Melissa han dejado un saldo de al menos 20 muertos y ...
Miami.- A las 8:00 de la mañana de este miércoles el centro del huracán Melissa se localizó cerca de la ...
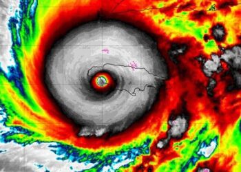
Redacción (RT.com).-El huracán Melissa tocó tierra en el oriente de Cuba la madrugada de este miércoles, impactando la isla con ...
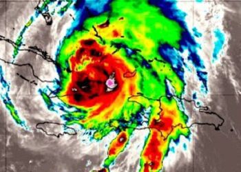
Redacción (RT.com).- El superhuracán Melissa tocó tierra en el suroeste de Jamaica, cerca de la localidad de Nueva Esperanza, como ...
Santo Domingo (República Dominicana).- El Ministerio de Salud informó que mantiene activados todos los mecanismos de respuesta sanitaria y vigilancia ...
Copyright © 2013 - 2023 Precisión - Con la información precisa. Todos los derechos reservados. By HPMediaPlus
Copyright © 2013 - 2023 Precisión - Con la información precisa. Todos los derechos reservados. By HPMediaPlus