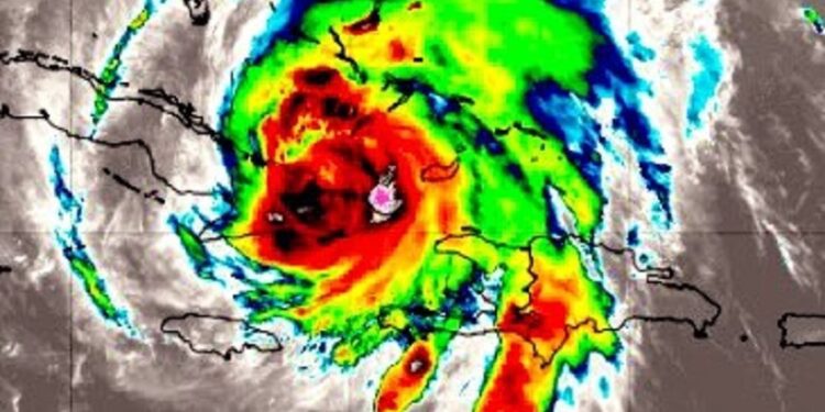
Miami.- A las 8:00 de la mañana de este miércoles el centro del huracán Melissa se localizó cerca de la latitud 20.6 Norte, longitud 75.7 Oeste, se está moviendo hacia el norte-noreste cerca de 14 mph (22 km/h) y se espera un movimiento más rápido hacia el noreste durante los próximos días, informó el Centro Nacional de Huracanes de Estados Unidos (NHC, siglas en inglés).
En la trayectoria del pronóstico, se espera que el núcleo de Melissa se mueva frente a la costa del este de Cuba esta mañana, se mueva a través del sureste o centro de las Bahamas a última hora de hoy, y pase cerca o al oeste de las Bermudas a última hora del jueves y jueves por la noche.
Los vientos máximos sostenidos están ahora cerca de 105 mph (165 km/h) con ráfagas más altas. Se espera que Melissa siga siendo un poderoso huracán cuando se mueva a través de las Bahamas a última hora de hoy y pase cerca de las Bermudas el jueves por la noche.
Los vientos con fuerza de huracán se extienden hacia fuera hasta 30 millas (45 km) desde el centro y los vientos con fuerza de tormenta tropical se extienden hacia fuera hasta 185 millas (295 km).
El gobierno de Jamaica ha descontinuado el aviso de tormenta tropical para la Isla de Jamaica.
Un aviso de huracán está en efecto para las provincias cubanas de Granma, Santiago de Cuba, Guantánamo, Holguín y Las Tunas, el Sureste y Centro de las Bahamas.
Una vigilancia de huracán está en efecto para Bermudas
Un aviso de tormenta tropical está en efecto para Haití, la provincia cubana de Camagüey y las Islas Turcas y Caicos.
Condiciones de huracán están ocurriendo dentro del área de aviso en Cuba. Se esperan condiciones de tormenta tropical en Haití este miércoles.
También se esperan condiciones de huracán en el sureste y centro de las Bahamas hoy, y condiciones de tormenta tropical en las Islas Turcas y Caicos.
Condiciones de huracán son posibles en las Bermudas a última hora del jueves y jueves por la noche.
Se espera que Melissa traiga de 3 a 6 pulgadas adicionales a través de Jamaica, donde las cantidades totales de la tormenta estarán entre 12 a 24 pulgadas. Áreas aisladas cerca de 30 pulgadas serán posibles sobre terreno montañoso. Inundaciones repentinas catastróficas en curso y numerosos deslizamientos de tierra continuarán hoy y hasta esta noche.
Para el este de Cuba, se esperan lluvia total de tormenta de 10 a 20 pulgadas hasta hoy con cantidades locales de 25 pulgadas esperadas sobre terreno montañoso. Esto causará inundaciones repentinas que amenazan la vida y potencialmente catastróficas con numerosos deslizamientos de tierra.
Sobre el sureste de las Bahamas, se esperan lluvia total de tormenta de 5 a 10 pulgadas hoy, lo que resultará en áreas de inundaciones repentinas. Para las Turcas y Caicos, se esperan totales de lluvia de 1 a 3 pulgadas. Fuertes lluvias pueden comenzar a afectar las Bermudas el jueves o jueves por la noche.
Sobre el sur de La Española, se esperan lluvia adicional de 2 a 6 pulgadas hoy, con máximas locales totales de tormenta de 40 pulgadas posibles.
Marejada ciclónica de 5 a 8 pies por encima del suelo normalmente seco es posible en el sureste de las Bahamas hoy, y inundaciones costeras menores son posibles en las Islas Turcas y Caicos hoy.
Inundaciones costeras menores son posibles en bahías y ensenadas a lo largo de la costa norte del este de Cuba y se esperan inundaciones costeras menores a lo largo de la costa de Haití.
Las marejadas generadas por Melissa continuarán afectando porciones de La Española, Jamaica, este de Cuba y las Islas Caimán durante el próximo día más o menos, causando condiciones de oleaje y corrientes marinas que amenazan la vida. Estas marejadas están comenzando a alcanzar las Bahamas y las Islas Turcas y Caicos, y se propagarán hacia las Bermudas a finales de esta semana.








