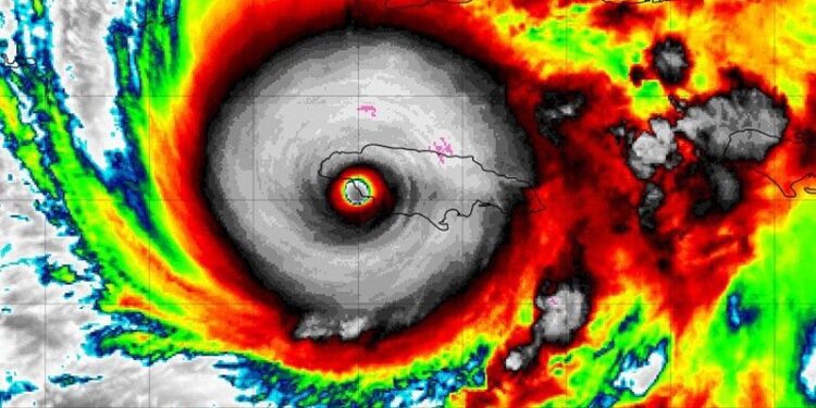
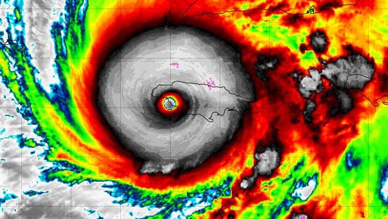
Redacción (RT.com).- El superhuracán Melissa tocó tierra en el suroeste de Jamaica, cerca de la localidad de Nueva Esperanza, como un poderoso ciclón de categoría 5, según confirmó el Centro Nacional de Huracanes de EE.UU.
Melissa, considerado uno de los huracanes más poderosos registrados en el Atlántico, entró a tierra firme con vientos extremadamente destructivos de hasta 295 km/h y lluvias torrenciales y ha comenzado a causar daños significativos en las zonas costeras y rurales de la región.
Las autoridades han declarado que la situación generada por la tormenta es «extremadamente peligrosa y potencialmente mortal» y han exhortado a la población a permanecer bajo resguardo, incluso si el ojo del huracán, donde los vientos prácticamente desaparecen, pasa sobre ellos.
Melissa se originó en el oeste de África, comenzando como una onda tropical que fue detectada por los monitores el 16 de octubre. Cruzó el Atlántico hacia las Islas de Barlovento y luego se desplazó lentamente hacia el oeste, llegando al mar Caribe.
Según la especialista en ciclones tropicales de la Organización Meteorológica Mundial (OMM), Anne-Claire Fontan, se espera que este huracán desate una «situación catastrófica» en la pequeña nación insular y produzca marejadas ciclónicas de hasta cuatro metros de altura y precipitaciones que superarán los 70 centímetros.
https://esrt.space/actualidad/570792-huracan-melissa-toca-tierra-jamaica








