Melissa se fortalece nuevamente mientras se acerca al este de Cuba, donde tocará como un huracán mayor
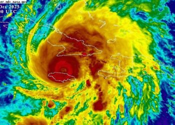
Miami.- El Centro Nacional de Huracanes de Estados Unidos (NHC, siglas en inglés) reportó que Melissa se fortalece de nuevo ...
Miami.- El Centro Nacional de Huracanes de Estados Unidos (NHC, siglas en inglés) reportó que Melissa se fortalece de nuevo ...
Copyright © 2013 - 2023 Precisión - Con la información precisa. Todos los derechos reservados. By HPMediaPlus
Copyright © 2013 - 2023 Precisión - Con la información precisa. Todos los derechos reservados. By HPMediaPlus