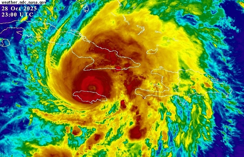
Miami.- El Centro Nacional de Huracanes de Estados Unidos (NHC, siglas en inglés) reportó que Melissa se fortalece de nuevo a medida que se acerca al este de Cuba, donde se espera que tocará tierra como un huracán mayor extremadamente peligroso en las próximas horas.
A las 11:00 de la noche de este martes el centro de Melissa se localizó cerca de la latitud 19.3 Norte, longitud 76.6 Oeste y se movía hacia el noreste cerca de 9 mph (15 km/h). Se espera un movimiento más rápido hacia el noreste durante los próximos días.
En la trayectoria del pronóstico, se espera que el núcleo de Melissa se mueva sobre el este de Cuba a última hora de esta noche y primera hora del miércoles por la mañana, se mueva a través del sureste o centro de las Bahamas a última hora del miércoles, y se acerque a las Bermudas el jueves y jueves por la noche.
Los vientos máximos sostenidos están cerca de 130 mph (215 km/h) con ráfagas más altas. Melissa es un huracán de categoría 4 en la Escala Saffir-Simpson y se espera que Melissa siga siendo un poderoso huracán cuando se mueva a través de Cuba, las Bahamas y cerca de las Bermudas.
Los vientos con fuerza de huracán se extienden hacia fuera hasta 30 millas (45 km) desde el centro y los vientos con fuerza de tormenta tropical se extienden hacia fuera hasta 195 millas (315 km).
La presión central mínima estimada es de 950 mb (28.06 pulgadas).
Se espera que los vientos dañinos disminuyan gradualmente a través de Jamaica, pero se aconseja permanecer en un refugio seguro hasta la salida del sol.
Además, se esperan condiciones de huracán en el área de aviso en Cuba hasta el miércoles por la mañana, y condiciones de tormenta tropical en Haití esta noche y miércoles.
También se esperan condiciones de huracán en el sureste y centro de las Bahamas el miércoles y condiciones de tormenta tropical y condiciones de huracán son posibles en las Islas Turcas y Caicos el miércoles.
Condiciones de huracán son posibles en las Bermudas el jueves y jueves por la noche.
El NHC dijo que se espera que Melissa traiga de 4 a 8 pulgadas adicionales a través de Jamaica, donde las cantidades totales de la tormenta estarán entre 12 a 24 pulgadas. Áreas aisladas cerca de 30 pulgadas serán posibles sobre terreno montañoso. Inundaciones repentinas catastróficas en curso y numerosos deslizamientos de tierra continuarán hasta el martes por la noche.
Para el este de Cuba, se esperan lluvia total de tormenta de 10 a 20 pulgadas hasta el miércoles, con cantidades locales de 25 pulgadas esperadas sobre terreno montañoso. Esto causará inundaciones repentinas que amenazan la vida y potencialmente catastróficas con numerosos deslizamientos de tierra.
Sobre el sureste de las Bahamas, se esperan lluvia total de tormenta de 5 a 10 pulgadas hasta el miércoles, lo que resultará en áreas de inundaciones repentinas. Para las Turcas y Caicos, se esperan totales de lluvia de 1 a 3 pulgadas. Fuertes lluvias pueden comenzar a afectar las Bermudas el jueves por la noche.
Sobre el sur de La Española, se esperan lluvia adicional de 2 a 6 pulgadas hasta el miércoles, con máximas locales totales de tormenta de 40 pulgadas posibles.
Hay un potencial de marejada ciclónica significativa a lo largo de la costa sureste de Cuba hasta la primera hora del miércoles. Las alturas máximas de la marejada ciclónica podrían alcanzar de 8 a 12 pies por encima de los niveles de marea normales, cerca y al este de donde el centro de Melissa toca tierra. Esta marejada ciclónica estará acompañada de olas grandes y destructivas. Inundaciones costeras menores son posibles en bahías y ensenadas a lo largo de la costa norte del este de Cuba.
Marejada ciclónica de 5 a 8 pies por encima del suelo normalmente seco es posible en el sureste de las Bahamas el miércoles, y de 2 a 4 pies por encima del suelo normalmente seco en las Islas Turcas y Caicos el miércoles.
Se esperan inundaciones costeras menores a lo largo de la costa de Haití.
Las marejadas generadas por Melissa continuarán afectando porciones de La Española, Jamaica, este de Cuba y las Islas Caimán durante el próximo día más o menos, causando condiciones de oleaje y corrientes marinas que amenazan la vida.Estas marejadas alcanzarán las Bahamas y las Islas Turcas y Caicos durante la noche, y las Bermudas a finales de esta semana.
De otra parte, el gobierno de Jamaica ha reemplazado el aviso de Huracán con un aviso de tormenta tropical.
Un aviso de huracán está en efecto para las provincias cubanas de Granma, Santiago de Cuba, Guantánamo, Holguín y Las Tunas; el Sureste y Centro de las Bahamas.
Una vigilancia de huracán está en efecto para Bermudas
Un aviso de tormenta tropical está en efecto para Jamaica, Haití, la provincia cubana de Camagüey y las Islas Turcas y Caicos






