Huracán Beryl se mueve sobre el sureste del Caribe
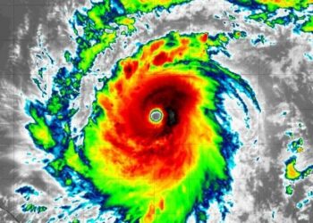
Miami.- El Centro Nacional de Huracanes de Estados Unidos (NHC) informó que el huracán Beryl se mueve sobre el sureste ...
Miami.- El Centro Nacional de Huracanes de Estados Unidos (NHC) informó que el huracán Beryl se mueve sobre el sureste ...
Copyright © 2013 - 2023 Precisión - Con la información precisa. Todos los derechos reservados. By HPMediaPlus
Copyright © 2013 - 2023 Precisión - Con la información precisa. Todos los derechos reservados. By HPMediaPlus