Miami.- El Centro Nacional de Huracanes de Estados Unidos (NHC) informó que el huracán Beryl se mueve sobre el sureste del Caribe, mientras las condiciones de tormenta tropical, olas peligrosas y fuertes lluvias persisten sobre las islas del sur de las Islas de Barlovento.
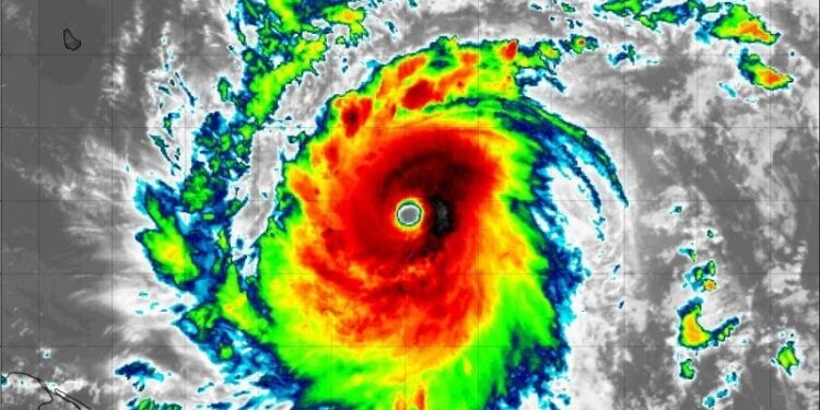
A las 5:00 de la tarde de este lunes el centro de Beryl se localizó cerca de la latitud 13.2 Norte, longitud 63.2 Oeste y se está moviendo hacia el oeste-noroeste cerca de 21 mph (33 km/h).
El NHC dijo que el centro de Beryl continuará moviéndose lejos del sur de las Islas de Barlovento esta noche y se moverá rápidamente hacia el oeste a oeste-noroeste durante los próximos días. En la trayectoria del pronóstico, el centro de Beryl se moverá a través del Mar Caribe sureste y el centro esta noche hasta el martes y se pronostica que pasará cerca de Jamaica el miércoles.
Los vientos máximos sostenidos están cerca de 150 mph (240 km/h) con ráfagas más fuertes. Beryl es un huracán de categoría 4 en la escala Saffir-Simpson. Son probables las fluctuaciones en la fuerza durante el próximo día más o menos, pero se espera que Beryl permanezca como un huracán extremadamente peligroso a medida de sus movimientos sobre el Caribe este. Se espera algún debilitamiento en el Caribe central para mediados de semana, aunque se pronostica que Beryl permanecerá como huracán.
Los vientos con fuerza de huracán se extienden hacia fuera hasta 40 millas (65 km) desde el centro y vientos con fuerza de tormenta tropical se extienden hacia fuera hasta 125 millas (205 km). El Aeropuerto Internacional de Hewanorra en Santa Lucia informó recientemente de vientos sostenidos de 47 mph (76 km/h) y una ráfaga de 64 mph (104 km/h).
El gobierno de Sant Vincent y las Granadinas ha cambiado el aviso de huracán a uno de tormenta tropical para esas islas.
Mientras, el gobierno de la República Dominicana ha cambiado la vigilancia de tormenta tropical a un aviso de tormenta tropical para la costa sur desde Punta Palenque hacia el oeste hasta la frontera de Haití.
Asimismo, la vigilancia de tormenta tropical para la costa sur de Haití se ha cambiado a un aviso de tormenta tropical.
El gobierno de Trinidad y Tobago ha cambiado el aviso de huracán a un aviso de tormenta tropical para la isla.
Una vigilancia de huracán está en efecto para Jamaica
Una vigilancia de huracán significa que son posibles las condiciones de huracán dentro del área de vigilancia. Una vigilancia se emite típicamente 48 horas antes de la primera ocurrencia anticipada de vientos con fuerza de tormenta tropical, condiciones que hacen los preparativos exteriores difíciles o peligrosos.
Un aviso de tormenta tropical significa que se esperan condiciones de tormenta tropical en algún lugar dentro del área bajo aviso dentro de 36 horas.









