Huracán Melissa, comienza a acelerar hacia el noreste sobre Las Bahamas con vientos dañinos
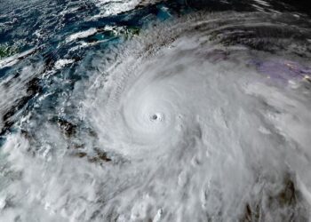
Miami.- El huracán Melissa ha comenzado a acelerar este miércoles hacia el noreste sobre Las Bahamas, con vientos dañinos, lluvias, ...
Miami.- El huracán Melissa ha comenzado a acelerar este miércoles hacia el noreste sobre Las Bahamas, con vientos dañinos, lluvias, ...
Copyright © 2013 - 2023 Precisión - Con la información precisa. Todos los derechos reservados. By HPMediaPlus
Copyright © 2013 - 2023 Precisión - Con la información precisa. Todos los derechos reservados. By HPMediaPlus