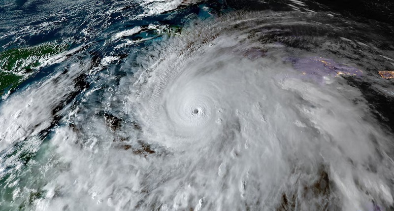
Miami.- El huracán Melissa ha comenzado a acelerar este miércoles hacia el noreste sobre Las Bahamas, con vientos dañinos, lluvias, inundaciones y una marejada ciclónica peligrosa que continuará hasta esta noche, informó el Centro Nacional de Huracanes de Estados Unidos (NHC, siglas en inglés.
A las 5:00 de la tarde el centro de Melissa se localizó cerca de la latitud 22.9 Norte, longitud 74.8 Oeste y se estaba moviendo hacia el noreste cerca de 16 mph (26 km/h). Se espera un movimiento acelerado hacia el noreste durante los próximos días.
En la trayectoria del pronóstico, se espera que el núcleo de Melissa se mueva a través del sureste o centro de las Bahamas esta noche, y se pronostica que pase cerca o al oeste de las Bermudas a última hora del jueves y jueves por la noche.
Los vientos máximos sostenidos están cerca de 90 mph (150 km/h) con ráfagas más altas. Algún fortalecimiento es posible esta noche hasta mañana con debilitamiento que comienza a partir de entonces.
Los vientos con fuerza de huracán se extienden hacia fuera hasta 60 millas (95 km) desde el centro y los vientos con fuerza de tormenta tropical se extienden hacia fuera hasta 185 millas (295 km). Una estación meteorológica privada en Pitts Town en Crooked Island informó
recientemente vientos sostenidos de 69 mph (111 km/h) y una ráfaga de viento de 82 mph (131 km/h).
La presión central mínima estimada es de 974 mb (28.77 pulgadas). Una estación meteorológica privada en Buckley’s Settlement en Long Island informó recientemente una presión de 978.4 mb (28.89 pulgadas).
De otra parte, el gobierno de Cuba ha descontinuado todos los avisos de huracán y tormenta tropical para sus provincias cubanas.
Asimismo, el aviso de tormenta tropical en efecto para Haití se ha descontinuado.
Un aviso de hracán está en efecto para el Sureste y Centro de las Bahamas y Bermudas
Un aviso de tormenta tropical está en efecto para las Islas Turcas y Caicos.
Las condiciones de huracán están ocurriendo dentro del área de aviso en el sureste y centro de las Bahamas y deben continuar hasta esta noche. Las condiciones de tormenta tropical están en curso en las Islas Turcas y Caicos y deben continuar hasta esta noche.
Ahora se esperan condiciones de huracán en las Bermudas a última hora del jueves y jueves por la noche con condiciones de tormenta Tropical esperadas más temprano el jueves.
El Centro Nacional de Huracanes de EEUU dijo que sobre el sureste de las Bahamas, se esperan lluvia total de tormenta de 5 a 10 pulgadas hasta el jueves por la mañana, lo que resultará en áreas de inundaciones repentinas. Para las Turcas y Caicos, se esperan totales de lluvia de 1 a 3 pulgadas. Fuertes lluvias pueden comenzar a afectar las Bermudas el jueves o jueves por la noche.
Sobre el sur de La Española, lluvia adicional de 1 a 2 pulgadas están hasta esta noche, con máximas locales totales de tormenta de 40 pulgadas posibles.
Para el este de Cuba, la lluvia ha disminuido. Sin embargo, se esperan aguaceros dispersos adicionales hasta esta noche, con cantidades de lluvia adicionales de 1 a 2 pulgadas. Con lluvia total de tormenta de 10 a 20 pulgadas, posiblemente de hasta 25 pulgadas sobre terreno montañoso, las inundaciones repentinas y deslizamientos de tierra en curso que amenazan la vida y potencialmente catastróficos probablemente persistirán hasta la noche.
Marejada ciclónica de 4 a 7 pies por encima del suelo normalmente seco es posible en el sureste de las Bahamas hoy, e inundaciones costeras menores son posibles en las Islas Turcas y Caicos este miércoles.
Las marejadas generadas por Melissa continuarán afectando porciones de La Española, Jamaica, este de Cuba, y las Islas Caimán durante el resto del día, afectarán las Bahamas y las Islas Turcas y Caicos durante los próximos días, y se propagarán hacia las Bermudas a finales de esta semana, causando condiciones de oleaje y corrientes marinas que amenazan la vida.









