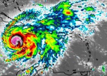
Melissa se convierte en un huracán categoría 3
Miami.- A las 11:00 de la noche de este sábado el centro del huracán Melissa se localizó cerca de la ...
Miami.- A las 11:00 de la noche de este sábado el centro del huracán Melissa se localizó cerca de la ...
Redacción (Telesur).- El huracán Kay, que se desplaza hacia la península de Baja California, en el noroccidente de México, se ...
Redacción (Telesur).- El Servicio Meteorológico Nacional (SMN) de México comunicó que el huracán Agatha podría llegar a las costas del ...
Copyright © 2013 - 2023 Precisión - Con la información precisa. Todos los derechos reservados. By HPMediaPlus
Copyright © 2013 - 2023 Precisión - Con la información precisa. Todos los derechos reservados. By HPMediaPlus