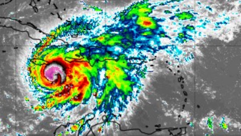
Miami.- A las 11:00 de la noche de este sábado el centro del huracán Melissa se localizó cerca de la latitud 16.4 Norte, longitud 75.9 Oeste y se está moviendo hacia el oeste cerca de 3 mph (6 km/h). Se espera un movimiento lento hacia el oeste esta noche hasta el final del fin de semana, informó el Centro Nacional de Huracanes de Estados Unidos (NHC, siglas en inglés).
Se pronostica un giro al norte y noreste el lunes y martes. En la trayectoria del pronóstico, se espera que el centro de Melissa se mueva cerca o sobre Jamaica durante el fin de semana y principios de la próxima semana, y podría estar cerca o sobre el este de Cuba a mediados de la próxima semana.
Informes de los aviones cazahuracanes de la Reserva de la Fuerza Aérea de EEUU indican que los vientos máximos sostenidos han aumentado a cerca de 115 mph (185 km/h) con ráfagas más altas. Melissa es un huracán de categoría 3 en la Escala Saffir-Simpson y se pronostica una intensificación rápida continua durante el próximo día más o menos, seguida de fluctuaciones en intensidad.
Se espera que Melissa sea un huracán mayor cuando haga tierra en Jamaica a principios de la próxima semana.
Los vientos con fuerza de huracán se extienden hacia fuera hasta 25 millas (35 km) desde el centro y los vientos con fuerza de tormenta tropical se extienden hacia fuera hasta 160 millas (260 km).
La presión central mínima informada por el avión Cazahuracán de la Reserva de la Fuerza Aérea es de 967 mb (28.56 pulgadas).
Por otra parte, un aviso de huracán está en efecto para Jamaica
Además, una vigilancia de huracán está en efecto para la península del suroeste de Haití, desde la frontera con la República Dominicana a Puerto Plata.
Provincias cubanas de Granma, Santiago de Cuba, Guantánamo y Holguín.
Un aviso de tormenta tropical en efecto para la península del suroeste de Haití, desde la frontera con la República Dominicana a Puerto Príncipe.
Intereses en otros lugares en Haití, la República Dominicana, Cuba, las Bahamas sureste y central, y las Islas Turcas y Caicos, deben monitorear el progreso de Melissa.
Se espera que las condiciones de tormenta tropical comiencen en Jamaica a primera hora del domingo por la mañana, con condiciones
de huracán esperadas para más tarde el domingo o el lunes. Se esperan condiciones de tormenta tropical y condiciones de huracán son posibles dentro del área de vigilancia y aviso en Haití hasta el domingo. Las condiciones de huracán son posibles en el área de vigilancia en el este de Cuba el martes hasta el miércoles.
Igualmente, se espera que Melissa traiga lluvia total de 15 a 30 pulgadas a porciones del sur de La Española y Jamaica hasta el miércoles, con máximas locales de 40 pulgadas posibles. Fuertes lluvias adicionales son probables más allá del miércoles; la incertidumbre en ese rango de tiempo excluye totales exactos de tormenta. Inundaciones repentinas y deslizamientos de tierra catastróficos son probables a través de porciones del sur de La Española y Jamaica.
Para el este de Cuba, se esperan lluvia total de 6 a 12 pulgadas, con cantidades locales de 18 pulgadas, hasta el miércoles que resulta en inundaciones repentinas y deslizamientos de tierra que amenazan la vida. Fuertes lluvias adicionales son probables más allá del miércoles; la incertidumbre en ese rango de tiempo excluye totales exactos de tormenta.
Marejada ciclónica que amenaza la vida se está volviendo más probable a lo largo de la costa sur de Jamaica a finales del fin de semana o principios de la próxima semana. Las alturas máximas de la marejada ciclónica podrían alcanzar de 9 a 13 pies por encima del nivel del suelo, cerca y al este de donde el centro de Melissa hace tierra. Esta marejada ciclónica estará acompañada de olas grandes y destructivas.
Hay un potencial de marejada ciclónica significativa a lo largo de la costa sureste de Cuba a principios de la próxima semana.
Se espera que las marejadas generadas por Melissa afecten porciones de La Española, Jamaica y este de Cuba durante los próximos
días.








