Bandas nubosas de Erin producen lluvias, tronadas y ráfagas de viento en el país
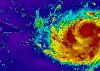
Santo Domingo (República Dominicana).- El huracán Erin, ahora categoría 3 en la escala de Saffir-Simpson, que se localizaba aproximadamente a 245 ...
Santo Domingo (República Dominicana).- El huracán Erin, ahora categoría 3 en la escala de Saffir-Simpson, que se localizaba aproximadamente a 245 ...
Copyright © 2013 - 2023 Precisión - Con la información precisa. Todos los derechos reservados. By HPMediaPlus
Copyright © 2013 - 2023 Precisión - Con la información precisa. Todos los derechos reservados. By HPMediaPlus