Santo Domingo (República Dominicana).- El huracán Erín continuará alejándose de la República Dominicana, sin embargo, sus efectos indirectos seguirán generando oleaje anormal en la costa Atlántica, informó el Instituto Dominicano de Meteorología (INDOMET).
Además, desde tempranas horas matutinas y durante la mañana, bandas nubosas asociadas a Erin, mantendrán las condiciones atmosféricas favorables para que se desarrollen nublados con aguaceros de moderados a fuertes, tormentas eléctricas y frecuentes ráfagas de viento, principalmente hacia el litoral atlántico y las regiones sureste y suroeste.
Esta actividad precipitaciones se extenderá hacia localidades de la Cordillera Central y la zona fronteriza, durante la tarde hasta las primeras horas de la noche de este lunes.
Actividad ciclónica en la cuenca del Atlántico, Mar Caribe y Golfo de México o América:
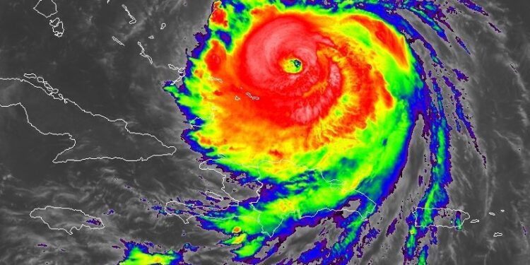
El huracán ERIN es categoría 4 en la escala de Saffir-Simpson, ahora posee vientos máximos sostenidos estimados en 215 km/h. Se localiza aproximadamente a 170 kilómetros al nor/noreste de Gran Turk Island y se desplaza hacia el noroeste a una velocidad de 20 km/h.
El INDOMET indicó que está monitoreando constantemente la evolución y trayectoria de este sistema tropical y reiteró que es importante estar atentos a sus actualizaciones.
Asimismo informó de una zona de aguaceros y tormentas eléctricas desorganizadas asociadas a una baja presión que podría formarse sobre el Atlántico tropical con movimiento hacia el oeste. Probabilidad de formación hasta 48 horas baja cerca del 0% y probabilidad de formación hasta 7 días de un 50%.
El Centro Nacional de Pronósticos del INDOMET mantiene el nivel aviso meteorológico por los efectos indirectos del huracán Erín, ante el riesgo de oleaje peligroso, mar de fondo, corrientes de resaca, olas de más de 10 pies de altura y posibles inundaciones urbanas, hacia las provincias La Altagracia, El Seibo, Hato Mayor, Samaná, María Trinidad Sánchez, Espaillat, Puerto Plata y Montecristi.
Para el martes, el huracán Erín estará bien distante del área de pronóstico del INDOMET, pero sus remanentes nubosos continuarán generando, principalmente en la tarde hasta las primeras horas de la noche, aumentos nubosos con aguaceros de moderados a fuertes, tormentas eléctricas y ráfagas de viento hacia las regiones: noreste, sureste, suroeste, Cordillera Central y zona fronteriza. El oleaje en la costa Atlántica retornará gradualmente a la normalidad en horas de la noche.
El miércoles, en las horas matutinas, el ambiente atmosférico no mostrará cambios apreciables, no obstante, en la tarde hasta las primeras horas de la noche, los efectos locales de calentamiento diurno y orográfico, estarán interactuando con la humedad existente en la masa de aire que nos cubre. Se pronostica que en horas de la tarde, se presentarán algunos aguaceros locales, tronadas aisladas y ráfagas de viento en provincias como Montecristi, Santiago Rodríguez, Puerto Plata, Dajabón, Santiago, La Vega, Espaillat, Hermanas Mirabal, entre otras cercanas.







